PESCAS RELEVANTES EN 2020

Pargo de 3´900 conseguido recientemente por José Antonio Martinez Cases, pescando al jigging , en 58 m. de sonda

_____________________________________________

   
Pagel de 1,730, y unos 9 años ( ver bajo la tabla de edades confeccionada por el autor de la web) capturado recientemente por el conocido y buen pescador Fernando Marcos , del RCN de Torrevieja. (Pulse imagen para ampliar) Para otras especies pulse AQUI
  Pagel ( Pagellus erithrinus) 2 años
3-4 años
4 - 5 años
5- 6 años
6- 7 años
10 o 12 a.
13 a 14 a.
15 a 16 años
180 gr.26 cm.
350 -375 gr.29 cm
500 gr.-31 cm.
750 gr. 36 cm
1.000 gr.40 cm
1.600 gr-48 cm. .
2.250 gr. 50 cm.
3.240 g. Récord IGFA
   

_____________________________________

 
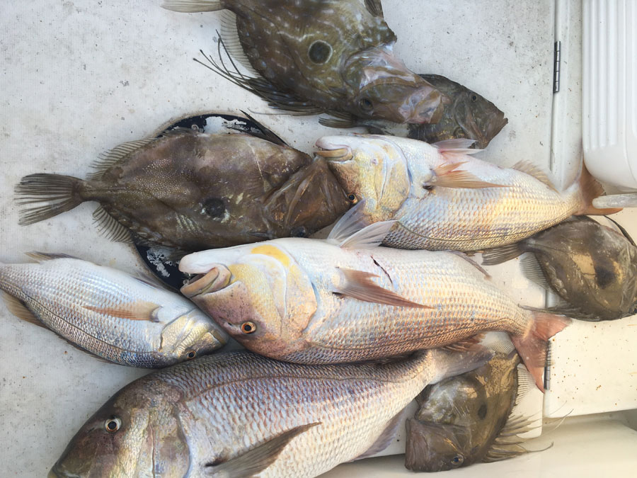
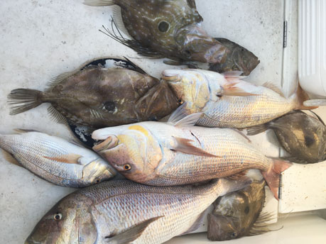
BAJO, DOS BUENAS PESQUERAS DE UN PESCADOR LOCAL (anonimo)

4 peces de S. Pedro, 4pargos , una brotola un verrugato de fango y una galllina. (Pulse imagen para ampliar)


Otra buena pesca de 5 S. Pedros, una chopa, tres brotolaas y un buen pargo

_________________________________________________

Pesca del atun en el periodo permitido y con las debidas licencias. En primer lugar, a bordo de la embarcación TESORO de Santa Pola. En el centro y a la izda.Vicente Rodriguez, uno de los compañeros habituales del gran pescador y amigo Miguel Cuervo Arango.Pulse para ampliar

  Pesca de un atun al brumeo a bordo de la embarcacion EXCITE CAT, patroneada por Augusto Germán. Su talla era de 2,30 medido desde el morro a la cruceta (o bifurcacion de la aleta caudal) Con esa talla su peso es alrededor de los 250 kg..Pulse imágenes para ampliar



A la izda el patrón : Augusto Germán, con este precioso atún, muerto en commbate, y que presentó ua dura batalla. A la derecha de él y centro, el resto de la tripulación del EXCITE CAT

Ver bajo escala de peso talla

    Chernas de 15 y 9 kilos a bordo de la embarcación MENARGUEZ

Pulse para ampliar
   Aquel día del mes de febrero, antes del penoso confinamiento que ha tenido, entre otras cosas ciertamente ms importantes, martirizados a los sufridos pescadores recreativos, la MENARGUEZ se hizo bien temprano a la mar El pronóstico era bueno, por lo que la tripulación integrada por los famosos ( por sus triunfos deportivos) hermanos Melgarejo y el patrón Jose M.Menarguez, decidieron pescar en aguas profundas. Esta vez eligieron un caladero con fondos rocosos en 350 m.de sonda.
  Para ello llevaban de cebo sardinas, de buen tamaño, frescas y calamares que encarnaban enteros. Ese día se saldó , con la cherna que muestra Jose Manuel, con otra de 9 kilos y un puñado de buenos besugos y gallinetas, llamadas en Torrevieja pollos (helicolenus dactylopterus). Además en una caña con cebo a media agua, en busqueda de las grandes bacoretas, aun presentes en nuestras aguas pusieron otra caña con una buena sardina dejandola a poca profundidad, apartándola del barco con un flotador. Fue en esa en la que engancharn y soltaron a continuación, el que llaman en Torrevieja chucho. Es el aguila marina o Miolyobatis aquila . Ver bajo

   A la derecha , lo que parece ser coral laminar lleno de invertebrados marinos, que da idea de la riqueza en vida marina de este escarpado fondo marino en 350 m de sonda
____________________________________________

EXCELENTES PESQUERAS DE MARIO QUINTO

  Una gran pesquera hecha por Mario Quinto y su amigo JavierSeva, que me la envía Mario, con el recuerdo del padre de Javier :Manuel Seva y su hijo Paco .Grandes amigos de Mario y que hoy ya no se encuentran entre nosotros .(Pulsen imagenes para ampliar)

______________________________________





Gran dentón (Dentex dentex) de 8,700 kg capturado a bordo de la embarcación BLUE BABY. Foto remitida por Salvador Ruiz. Pulse fotos para ampliar.
Ver un poco mas bajo, en esta misma página, las diferencia y semejanzas con la sama (dentex gibosus)



  
 Un gran verrugato de fango, o umbrina canariensis Foto remitida por Salvador Ruiz, el que fue Delegado de pesca del RCNT, Delegado de la Federación Nacional de pesca y uno de los mejores veteranos pescadores desde embarcacion de nuestro Club . En la foto del verrugato no se aprecia la pequeña verruga caracteristica del labio inferior.
Características:
Es una especie poco conocida no abundante en nuestra zona y mas frecuente en el litoral atlantico de España Cuerpo alto y comprimido. Cabeza y boca pequeñas. Mentón con una verruga debajo. Dos aletas dorsales , la primera con 10 radios duros ; la segunda con 1 duro y 27 blandos. Aleta anal con 2 radios duros y 8 blandos. Aleta caudal con el borde en forma de S suave. Color grisáceo con intensos reflejos dorados; líneas oscuras oblicuas, que desaparecen después de la muerte; aletas pelvianas y anal negras; dorsales y caudal amarillentas con el borde negro. Hasta 50 cm de longitud.


   

________________________________________
   Uno buena pesca a bordo del PEQUEÑO ALO patroneado por Pepe Medrano. Un pez de S.Pedro y una dorada de mas de kilo y medio


_____________________________________________
 
  A continuación las imágenes de las pesqueras hechas a bordo de la embarcación MESA , patroneada por Rafael Mesa en 4 salidas de los utimos días de diciembre y primeros de Enero (¡chapeau !..) , hechas todas pescando a fondo (Pulse imágenes para ampliar)


Arriba sama o dentex gibosus o filosus de 5 kg Debe ser una hembra. Los machos de su edad empiezan a tener una giba mas pronunciada. Tiene la caracterisitica de la mancha negra al final de la aleta dorsal y los radios no espinosos de la aleta pélvica

Dorada de 2,600
Samas de 5 y 4 kilos
   
Un buen rancho samas y peces de S Pedro o gallos, segun denominación local  

Otra gran pesquera : 4Peces de S. Pedro, , dos brótolas (arriba y enmedio).Bajo a la izda tres verrugatos de fango y además pargos y chopas